Hi I'm new and need some help :) General Chat

Discussion in 'Border Collie' started by M&M, Nov 5, 2018.

  1. M&M

    M&M New Member

    Likes Received:
    1
    Gender:
    Female
    Name:
    Marisa

    Hi I'm new and need some help :)

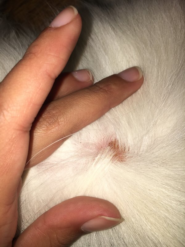
    Hello! I am a college student who recently (well about 9 months ago recently) decided to jump the gun and get a puppy. I got a Border Collie puppy from a woman on craigslist who was trying to get rid of her puppy, apparently she didn't have the time for it anymore, so that's how I acquired Millie. The woman gave me no information on where she got the puppy from so unfortunately I have no records of her parents or her breeder. Since getting Millie I have jumped into the world of Border Collies and I now love the breed and everything about it. We have begun to work on agility, flyball and dock diving and I am so excited to see where it goes. So as a college student who does not have a huge savings yet, I am reluctant to go to the vet for something that I could fix at home (but I will take her to the vet if necessary, and I will not deny her the proper care she needs). Now for my question, Millie has very recently begun to scratch herself to the point that she has created hot spots under her front legs and on her chest, I found a flea on her when I started noticing the scratching and ordered a topical flea medication and applied it about three days ago but the itching still has not stopped, I know that it might take a bit for the medication to work but in the meantime any advice or opinions would be helpful, I am attaching some photos of her skin where she is scratching a lot. We have been putting a t-shirt on her as well to keep her from scratching so hard IMG_8567.JPG IMG_8563.JPG

    Attached Files:

  2. Registered users won't see this advert. Sign up for free!

  3. Chris B

    Chris B Member

    Likes Received:
    1,769
    Gender:
    Female
    Name:
    Chris
    Which flea treatment did you use?

    Shop bought and prescription Frontline don't work for my girl, but Stronghold does.

    You will probably need to get a decent flea treatment from your vet and get advice from them if it is safe to use so soon after another treatment
  4. M&M

    M&M New Member

    Likes Received:
    1
    Gender:
    Female
    Name:
    Marisa
    I used Onguard, however I have been hearing that most topical flea medications do not work well on the fleas in my area and that I should try the oral kind. But if the scratching persists I am going to take her to the vet this weekend.
  5. M&M

    M&M New Member

    Likes Received:
    1
    Gender:
    Female
    Name:
    Marisa
    CaroleC likes this.
    here she is in one of her t-shirts :) IMG_8576.JPG
  6. Chris B

    Chris B Member

    Likes Received:
    1,769
    Gender:
    Female
    Name:
    Chris
    She's beautiful.

    I do think fleas may be the culprit and usually if a flea treatment is going to work you quickly see a lessening in the scratching so you are doing the right thing turning to a vet. Don't forget to tell him that you have already given her a treatment and when. Also get some flea spray for your room and when you dose her again, wash all the bedding
  7. M&M

    M&M New Member

    Likes Received:
    1
    Gender:
    Female
    Name:
    Marisa
    Thank you! Will do :)

Share This Page